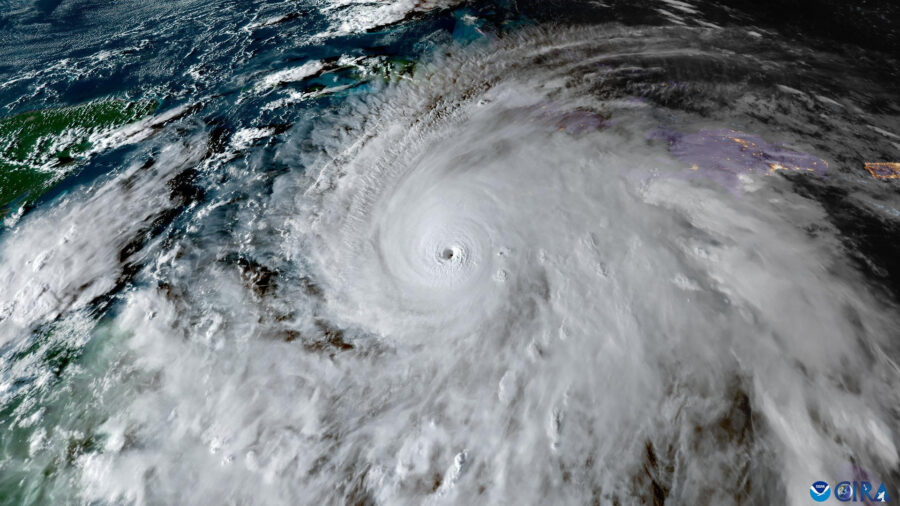
El huracán Melissa tocó este martes tierra en Jamaica con vientos máximos sostenidos cercanos a los 295 kilómetros por hora (183 millas), lluvias torrenciales y marejadas que amenazan con provocar inundaciones y daños catastróficos.
El ciclón, el de mayor intensidad esta temporada en el Atlántico, entró a Jamaica cerca de la localidad de Black River, en el suroeste de la isla, convertido en un huracán de categoría 5, informó el Centro Nacional de Huracanes (NHC, en inglés) de Estados Unidos.
El organismo prevé que Melissa mantenga su intensidad extrema antes de cruzar el sureste de Cuba el miércoles y llegar a las Bahamas el jueves.
Se trata del primer huracán que toca tierra en el Atlántico como categoría 5 desde 2019, cuando Dorian golpeó en Bahamas.
El NHC, con sede en Miami, advirtió que el huracán viene acompañado de «vientos catastróficos» y solicitó a la población de Jamaica que busque refugio de manera inminente puesto que se trata de una situación «extremadamente peligrosa y que amenaza la vida».
El huracán se desplaza actualmente a unos 7 kilómetros por hora en dirección nornoreste, lo que podría empeorar la devastación que ocasione en tierra.
Según las previsiones del Centro Nacional de Huracanes (NHC, por sus siglas en inglés), se espera que el huracán deje entre 38 y 76 centímetros de lluvia acumulada sobre la isla, con picos máximos de hasta 1 metro, lo que generará inundaciones repentinas y deslizamientos de tierra a gran escala.
Desde que se originó el pasado martes, Melissa ha causado al menos nueve muertes: tres en Jamaica, tres en Haití, dos en Panamá y una en República Dominicana.
El huracán Grace, en 2021, fue el último ciclón en impactar directamente en territorio jamaicano.
Después de atravesar Jamaica, se pronostica que Melissa se desplace hacia el sureste de Cuba el miércoles y llegue a las Bahamas el jueves.
