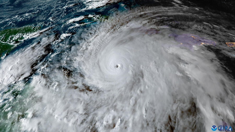
El huracán Melissa decreció este miércoles a categoría 1 mientras se acerca a Las Bahamas, reportó el Centro Nacional de Huracanes (NHC, en inglés) de Estados Unidos tras azotar Cuba y dejar al menos cuatro muertos en Jamaica, 20 en Haití y uno en República Dominicana.
El ciclón, que golpeó a Cuba este miércoles como categoría 3, estaba en el último reporte a 130 kilómetros (80 millas) al sureste del centro de las Bahamas, con vientos máximos sostenidos de 150 kilómetros por hora y un desplazamiento de 26 kilómetros por hora (16 millas por hora) hacia el noreste.
El organismo estadounidense anticipó condiciones de huracán para Bahamas y lluvias este miércoles y jueves, mientras que en Cuba «la lluvia ha disminuido», pero aún «se esperan aguaceros dispersos adicionales» por la noche.
«Las marejadas generadas por Melissa continuarán afectando porciones de La Española, Jamaica, este de Cuba, las Islas Caimán durante el resto del día, afectarán Las Bahamas y las Islas Turcas y Caicos durante los próximos días, y se propagarán hacia las Bermudas a finales de esta semana», aseveró.
Aunque «Melissa se ha debilitado sustancialmente» tras pasar por Jamaica y Cuba, el NHC apuntó que «los modelos globales y regionales de huracanes continúan sugiriendo que tiene una ventana a corto plazo para reintensificarse algo» al pasar por aguas más cálidas.
Melissa es el huracán más devastador de la temporada en el Atlántico, donde Haití ha reportado al menos veinte muertos, la mitad de ellos niños, y diez personas desaparecidas.
Mientras que en Jamaica 500.000 personas se han quedado sin luz y las autoridades encontraron este miércoles tres cadáveres más.
Cuba amaneció este miércoles con cerca de 3,5 millones de personas sin corriente y cuantiosos daños por inundaciones.
El huracán tocó tierra en el extremo oriental de Cuba y provocó vientos sostenidos de 193 kilómetros por hora que han ido debilitándose con las horas.






